NEW
物件No.8007
東芦屋メディカルモール
【 兵庫県 芦屋市 】2027年1月開業可能の新築計画物件

- 住所
- 兵庫県芦屋市東芦屋町9-4
- 最寄駅
-
阪急神戸線芦屋川駅徒歩4分
- 募集科目
- 小児科・耳鼻咽喉科・内科・皮膚科・整形・眼科・心療内科等
- ポイント
-
阪急芦屋川駅徒歩4分 駅近で閑静な住宅街
街並みに負けないセキスイのお洒落な新築物件
賃貸条件
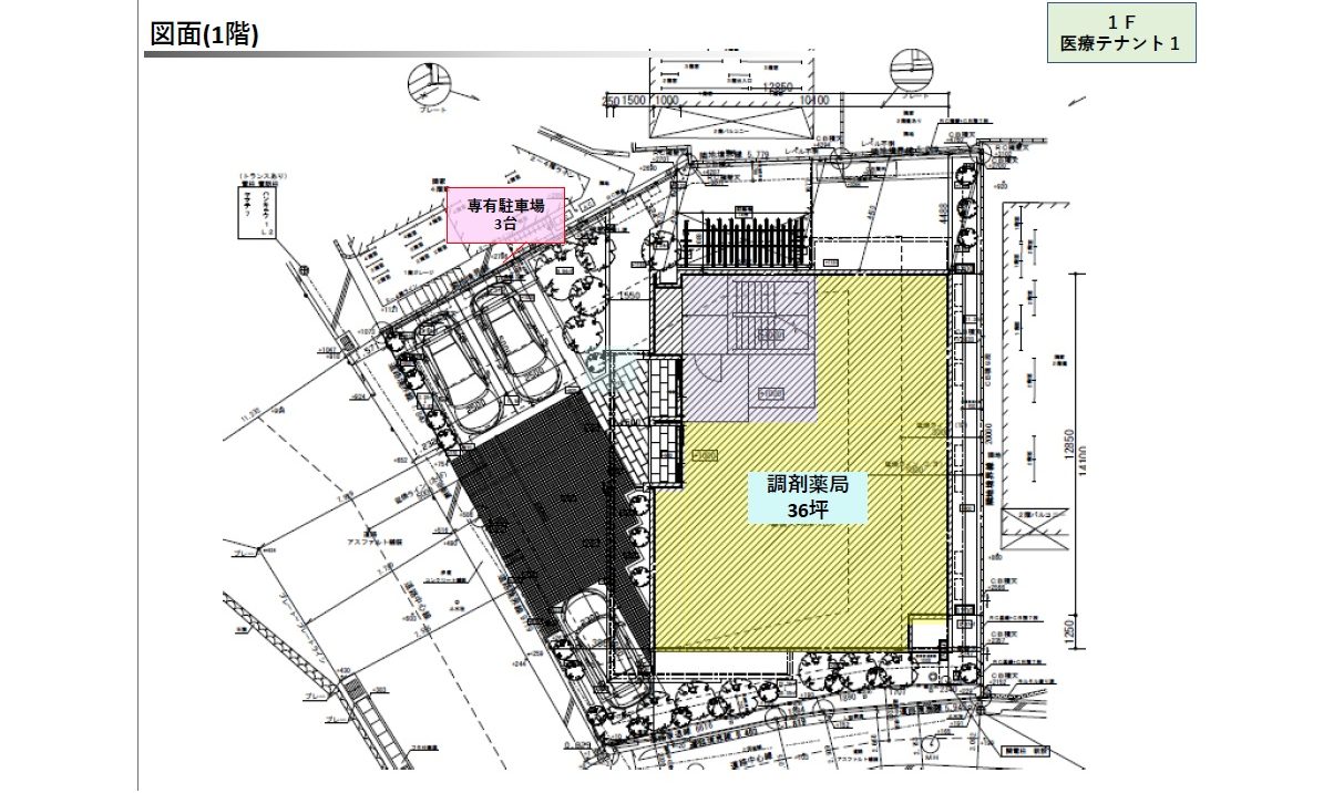
- 面積
- 45.8坪
- 賃料
- 825,000円(税込)
- 保証金
- 賃料の6ヶ月分
- 募集区画
- 2階 3階 各1区画
この物件のお問い合わせはこちら